K prodeji, pozemky - stavební / bydlení, 1037 m2, Hýskov

 
 
 
exkluzivně
 
Lokalita:
Hýskov
 
 
Cena:
10 400 000 Kč / za nemovitost
 
Cena včetně právního i realitního servisu.
 
Nabídněte prodejci Vaši cenu 
 
 

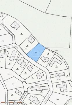
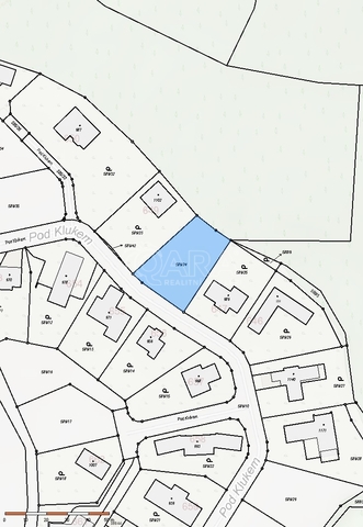
Nabízíme k prodeji velmi pěkný stavební pozemek v žádané lokalitě v blízkosti města Beroun v obci Hýskov v ulici pod Klukem. Pozemek má ideální výměru a to 1037 m2. Součástí prodeje předmětného pozemku je také vydané platné stavební povolení včetně kompletní projektové dokumentace na moderní rodinný dům. Pozemek je kompletně oplocený ze všech stran, kompletně zasíťován v rozsahu elektrická přípojka, obecní vodovod, kanalizace a plyn, vše ukončena přímo na pozemku v pilířích. Hýskov je obec v okrese Beroun ve Středočeském kraji, 4 km severozápadně od Berouna. Leží v údolí řeky Berounky, na jejím levém břehu, uprostřed lesnaté krajiny. Nemovitost je možné financovat hypotéčním úvěrem. V případě dotazů kontaktujte makléře

 
zobrazit více
 
 
 


Doplňující informace:

ID inzerátu ESO: 4373866
Inzerát vydán: 05.12.2025
Inzerát aktualizován: 04.03.2026
ID zakázky v RK: 18176
Plocha: 1037 m2
Plocha pozemku: 1037 m2
 
 

 

Bleskový dotaz makléři

K prodeji, pozemky - stavební / bydlení, 1037 m2, Hýskov

Text dotazu *
Váš telefon *
Váš e-mail
Zobrazit kontaktní informace
Odeslat
 
 
 
 

Ve schránce je 0 inzerátů.

zobrazit celou schránku
 
 

Nalezli jsme dalších 14 nemovitostí v podobné ceně.

 
 
reklama