K prodeji, pozemky - stavební / bydlení, 500 m2, Opatovice

 
 
 
Lokalita:
Opatovice
 
 
Cena:
3 990 000 Kč / za nemovitost
 
včetně provize
 
uvedená cena je: včetně provize Nabídněte prodejci Vaši cenu 
 
 

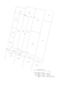
Dobrý den, nabízíme k prodeji stavební pozemek o rozloze 500 m², ideální pro výstavbu řadového rodinného domu, nacházející se na ulici Velké dráhy v obci Opatovice u Rajhradu. Tento pozemek představuje zajímavou investiční příležitost vzhledem ke své strategické poloze. Opatovice u Rajhradu jsou vyhledávanou lokalitou díky své blízkosti k Brnu a příjemné dopravní dostupnosti. V obci naleznete základní a mateřskou školu, kulturní dům, travnaté fotbalové hřiště, dětské hřiště a rybník. Autobusové spojení do Brna, Rajhradu a Židlochovic zajišťuje pohodlnou dopravu. K pozemku je zajištěn přístup po veřejné komunikaci a je připraven k okamžité výstavbě s dostupnými inženýrskými sítěmi na hranici pozemku, včetně vedení nízkého napětí (NN), vodovodu, splaškové kanalizace a kabelového komunikačního vedení. Vedení plynovodu je dostupné přes komunikaci. Nemovitost je bez právních vad, zástavních práv a břemen, což zaručuje bezproblémový převod vlastnictví. Neváhejte nás kontaktovat pro více informací nebo sjednání prohlídky. Tento pozemek je ideální volbou pro ty, kteří hledají bydlení v blízkosti města s veškerou potřebnou infrastrukturou. Těšíme se na Vás.

 
zobrazit více
 
 
 


Doplňující informace:

ID inzerátu ESO: 4377419
Inzerát vydán: 28.12.2025
Inzerát aktualizován: 24.01.2026
Plocha: 500 m2
Plocha pozemku: 500 m2
 
 

 

Bleskový dotaz makléři

K prodeji, pozemky - stavební / bydlení, 500 m2, Opatovice

Text dotazu *
Váš telefon *
Váš e-mail
Zobrazit kontaktní informace
Odeslat
 
 
 
 

Ve schránce je 0 inzerátů.

zobrazit celou schránku
 
 

Nalezli jsme dalších 14 nemovitostí v podobné ceně.

 
 
reklama