K prodeji, pozemky - zemědělská půda, 51997 m2, Křečkov

 
 
 
Lokalita:
Křečkov
 
 
Cena:
2 599 850 Kč / za nemovitost
 
Cena je včetně provize a právního servisu.
 
Nabídněte prodejci Vaši cenu 
 
 

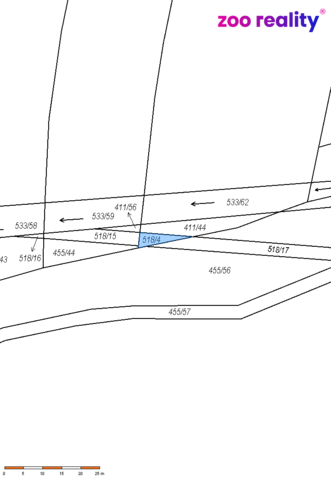
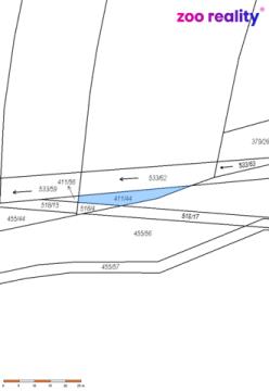
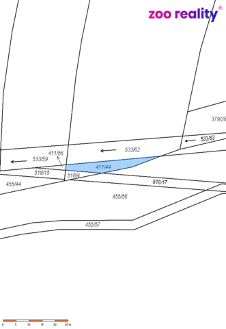
Nabízíme k prodeji pozemek v atraktivní lokalitě části obce Křečkov, okres Nymburk. Tento pozemek o celkové ploše 51 997 m² je klasifikován jako pole, což poskytuje široké možnosti využití pro zemědělské aktivity nebo jiné projekty spojené s přírodním prostředím. Jedná se o tyto parcely: parc. č. 200/5– orná půda parc. č. 214 – orná půda parc. č. 361 – orná půda parc. č. 379/41 – orná půda parc. č. 411/44 – orná půda parc. č. 518/4 – ostatní plocha parc. č. 533/36 – vodní plocha parc. č. 533/62 - vodní plocha V současné době je na pozemku zřízená smlouva o zemědělském pachtu, která bude přecházet na nového majitele. Celkově lze pozemek hodnotit jako výjimečnou investiční příležitost v lokalitě se silným potenciálem. V případě zájmu nás neváhejte kontaktovat.

 
zobrazit více
 
 
 


Doplňující informace:

ID inzerátu ESO: 4365983
Inzerát vydán: 22.10.2025
Inzerát aktualizován: 19.01.2026
ID zakázky v RK: 9406
Plocha: 51997 m2
Plocha pozemku: 51997 m2
 
 

 

Bleskový dotaz makléři

K prodeji, pozemky - zemědělská půda, 51997 m2, Křečkov

Text dotazu *
Váš telefon *
Váš e-mail
Zobrazit kontaktní informace
Odeslat
 
 
 
 

Ve schránce je 0 inzerátů.

zobrazit celou schránku
 
 

Nalezli jsme dalších 11 nemovitostí v podobné ceně.

 
 
reklama