K pronájmu, Kanceláře, Brno, Koperníkova

 
 
 
Lokalita:
Brno, Koperníkova
 
 
Cena:
11 500 Kč / za nemovitost
 
včetně 1ks parkovacího stání u budovy + DPH + zálohy na energie + kauce (2 nájmy) + provize RK (1 nájem + DPH)
 
Nabídněte prodejci Vaši cenu 
 
 

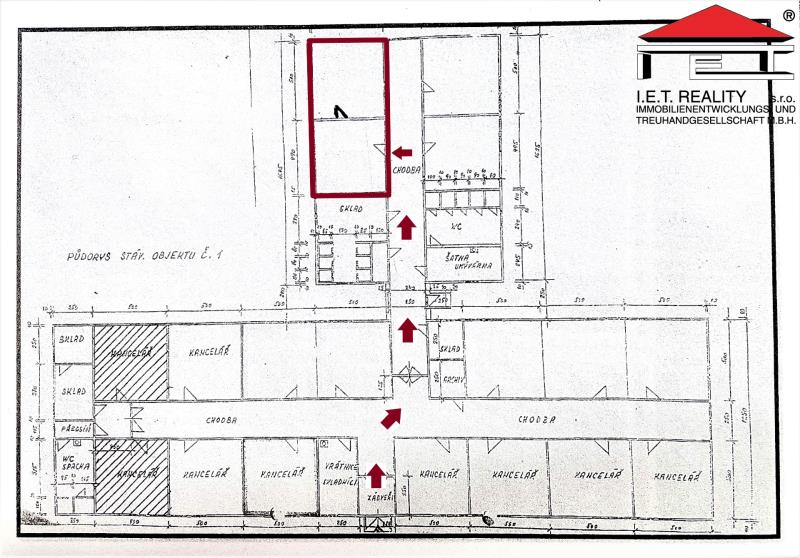
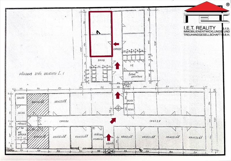
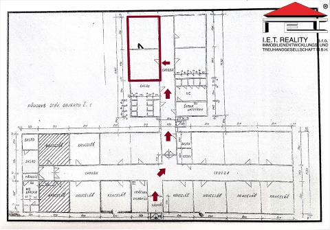
Nabízíme Vám zprostředkování pronájmu zrekonstruované kanceláře s komfortním parkováním přímo u budovy. V prostorech je položena nová podlaha, nové LED osvětlení, dveře, zásuvky i podhledy. Místnosti jsou ve tvaru čtverce a vzájemně propojeny dveřmi. Obě disponují výměrou cca 25 m². V ceně pronájmu je i jedno venkovní parkovací stání u budovy. Nájemci jsou k dispozici společné dámské i pánské toalety a zázemí. Přístup do areálu je možný nonstop. V případě zájmu je možné zařídit umístění reklamy u vjezdu do areálu. Volné od 15.01.2026 či domluvou. V případě Vašeho zájmu rádi poskytneme bližší informace a sjednáme prohlídku, neváhejte mě kontaktovat. Na závěr upozorňujeme, že zatím nebyl dodán průkaz energetické náročnosti budovy, a proto jsme dle zákona povinni uvést třídu "G".

 
zobrazit více
 
 
 


Doplňující informace:

ID inzerátu ESO: 4374356
Inzerát vydán: 09.12.2025
Inzerát aktualizován: 19.01.2026
Budova je z: Cihla
Stav: Velmi dobrý
Umístění: Velmi dobrý
Užitná plocha: 50 m2
Energetická náročnost budovy:
G - Mimořádně nehospodárná
 
 

 

Bleskový dotaz makléři

K pronájmu, Kanceláře, Brno, Koperníkova

Text dotazu *
Váš telefon *
Váš e-mail
Zobrazit kontaktní informace
Odeslat
 
 
 
 

Ve schránce je 0 inzerátů.

zobrazit celou schránku
 
 

Nalezli jsme dalších 21 nemovitostí v podobné ceně.

 
 
reklama