K pronájmu, , 3303 m2, Prostějov

 
 
 
exkluzivně
 
Lokalita:
Prostějov
 
 
Cena:
Info o ceně u RK
 
Cena u makléře
 
Nabídněte prodejci Vaši cenu 
 
 

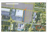
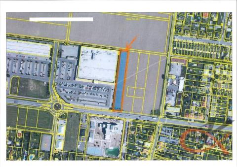
Nabízíme k dlouhodobému pronájmu pozemek p.č. 339, Čechovice u Prostějova, na ulici Plumlovská, sousedící se supermarketem Albert. Jedná se o právo stavby dle § 1240 a následujících obč. zákoníku 89/2012 Sb. 1. Menší vstupní investice 2. Pozemek není vázán smlouvu se zemědělci 3. Nájem - nákladová položka 4. Levnější dluhová služba (za pořízení parcely) Doba pronájmu - dle dohody (po dobu životnosti vybudovaného objektu nebo do 99 let), Výměra pozemku - 3.303 m2 (22 m x 150 m), Zastavená plocha - cca 1.800 m2 s možnosti stavby dvoupatrové budovy s objemem cca 18.000 m3, Dle územního plánu pozemek určen pro výstavbu objektu občanské vybavenosti (prodejny, restaurace, autosalon, hotel, správní administrativní budova atd.). Inženýrské sítě jsou přivedeny přímo na pozemek a zkolaudovány. Plyn - přípojka o průměru 63 mm ukončení HUP Garance plynárny na tyto odběrové hodnoty: roční odběr - 33.000 m3 Max. hod. odběr - 20,5 m3 Min. hod. odběr - 10,25 m3 Voda - přípojka v dimenzi DN 100 zakončena vodoměrem v nové vodoměrné šachtě Kanalizace - připojena na stávající stoku DN 600 průtlakem pod vozovkou Použít HOBAS DN 300/SN Na pozemku ukončena v revizní šachtě DN 1000 z betonových skruží Elektrika - přípojka na pozemku, rezervovaný příkon 3x63A Celkový instalovaný příkon 40 kW Možnost provedení stavby přímo na hranici pozemku. Přístup na pozemek je smluvně zajištěn pro vozidla do 3 t - přes parkoviště obchodního domu Albert.

 
zobrazit více
 
 
 


Doplňující informace:

ID inzerátu ESO: 4302369
Inzerát vydán: 06.01.2025
Inzerát aktualizován: 27.12.2025
ID zakázky v RK: 6912
Plocha: 3303 m2
Plocha pozemku: 3303 m2
 
 

 
 
 

Bleskový dotaz makléři

K pronájmu, , 3303 m2, Prostějov

Text dotazu *
Váš telefon *
Váš e-mail
Zobrazit kontaktní informace
Odeslat
 
 
 
 

Ve schránce je 0 inzerátů.

zobrazit celou schránku
 
 
reklama